The declarative authentication provider persists in RHACS despite the configuration stanza being removed from the Central CR

Solution Verified - Updated -

Environment

  • Red Hat Advanced Cluster Security for Kubernetes
    • 4.x

Issue

In Red Hat Advanced Cluster Security for Kubernetes, an auth provider created via a declarativeConfiguration is not deleted when it's stanza is simply removed from the Central CR.

  • For example, consider an auth provider defined via the following auth.yaml:

    name: OCP
    uiEndpoint: central_endpoint:443
    groups:
        - key: group
          value: ocp-admin
          role: Admin
    openshift:
        enable: true
    

     

  • Then used to create the ConfigMap declarative-configs:

    $ oc create cm declarative-configs --from-file=auth.yaml
    

     

  • And finally implemented in the Central CR:

    $ oc get centrals.platform.stackrox.io/stackrox-central-services -o yaml | yq .spec.central
    
    adminPasswordSecret:
      name: acs-password
    declarativeConfiguration:
      configMaps:
        - name: declarative-configs
    exposure:
      loadBalancer:
        enabled: false
        port: 443
      nodePort:
        enabled: false
      route:
        enabled: true
    persistence:
      persistentVolumeClaim:
        claimName: stackrox-db
    

     

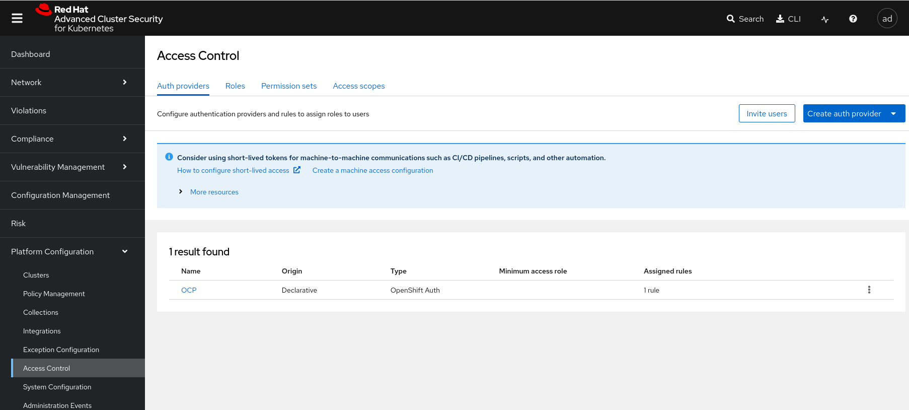
  • After Central restarts, the auth provider is visible in the RHACS UI:

    alt text
     

  • Later, an attempt is made to remove that particular auth provider by simply removing the declarativeConfiguration stanza from the Central CR:

    $ oc get centrals.platform.stackrox.io/stackrox-central-services -o yaml | yq .spec.central
    
    adminPasswordSecret:
      name: acs-password
    exposure:
      loadBalancer:
        enabled: false
        port: 443
      nodePort:
        enabled: false
      route:
        enabled: true
    persistence:
      persistentVolumeClaim:
        claimName: stackrox-db
    

     

  • After Central restarts, the auth provider still exists:

    alt text
     

Resolution

This issue has been reported to Red Hat engineering. It is being tracked in Bug ROX-29812. For more information, please open a new support case with Red Hat Support.
 

One particular workaround is to directly remove the auth provider from the central-active database.
 

  • Get the database password from the central-db-password secret:

    $ oc get secrets -n stackrox central-db-password --template={{.data.password}} | base64 -df`
    

     

  • Exec into the central-db pod:

    $ oc exec -it -n stackrox <central-db-pod> sh
    

     

  • Log into the central-active database with the password obtained in the first step:

    sh-4.4$ psql -h localhost -p 5432 -d central_active
    

     

  • List the auth providers (in this example there is only one):

    central_active=# select * from public.auth_providers;
                      id                  | name |                                                                                                                                                serialized
    --------------------------------------+------+----------------------------------------------------------------------------------------------------------------------------------------------------------------------------------------------------------------------------------------------------------------------------------------------------------
     8c6b3201-484e-54c3-a624-1d30ab78d6e3 | OCP  | \x0a2438633662333230312d343834652d353463332d613632342d31643330616237386436653312034f43501a096f70656e7368696674221463656e7472616c5f656e64706f696e743a34343328013a2f2f73736f2f6c6f67696e2f38633662333230312d343834652d353463332d613632342d316433306162373864366533500162021802720c08f79baec10610fbe0fadb03
    (1 row)
    

     

  • Delete the row associated with the unwanted auth provider:

    central_active=# delete from public.auth_providers where name = 'OCP';
    DELETE 1
    

     

  • Exit out of the central-db pod and then delete the central pod;

    $ oc delete pod -l app=central -n stackrox
    pod "central-XXXXXXXXXX-XXXXX" deleted
    

     

  • After the central pod is redeployed, the auth provider no longer exists in Central.

    alt text

Root Cause

Central appears to completely skip evaluation of declarative resources if no config map is defined and specified in the declarativeConfiguration stanza of the Central CR.

This solution is part of Red Hat’s fast-track publication program, providing a huge library of solutions that Red Hat engineers have created while supporting our customers. To give you the knowledge you need the instant it becomes available, these articles may be presented in a raw and unedited form.

Comments